
Bladhveps - Nematus myosotidis

Bladhveps - Nematus myosotidis

Droneflue ( Dyndflue) - Drone er
en betegnelse for at se ud som
noget, man ikke er - her som en bi.

Enlig bi med hoveddør
- måske en Fåresandbi

Flue på Djævelsbid

Gedehams gnaver tørt træ til bygge-
materialer, - hvilket fortæller, at det
er en overvintret hun, som skal
bygge sit første bo.

Historien om et hvepsebo

Gedehams, stor - og det er den,
4 cm lang og tyk som en lillefinger, -
og den lyder som en bombemaskine
fra 2. Verdenskrig (Å)

Gravehveps - Ectemnius
continuus

Humlebi, ager

Hvepseflue, alm

Sabelhveps

Skorpionflue - i familie med lopper,
bemærk dens munddele.

Stankelben (2) - nogle arters larver
lever i fugtig jord, andre i vand, hvor
de er rovdyr

Stenfrugt bladhveps
(Neurotoma nemoralis spm)

Stueflue, alm i selskab med 3
svirrefluer

Svirreflue, sump på
Engelskgræs (F)

Sumpflue - suilla fuscicornis

Bladhveps - Tenthredo ferruginea

Buksebi med madpakke

Dyndflue på Gulerod, vild

Flue, gulplettet

Gedehams, rød på Angelik (Å)

Gødningsfluer på kokasse

Guldflue (Spyflue)

Honningbi på Kornblomst

Humlebi, ager på Hanekro, alm (Å)

Kødflue, stor

Løvflue, - hun af "Lyciella rodida" på
Tidsel, kål (F)

Seglhveps - halvskjult som den
har for vane.
Den kan give meget smertefulde stik !

Skovmyre, rød (Å)

Sumpflue - suillia fuscicornis

Svirreflue, dobbeltbåndet på
Ranunkel, bidende (F)

Svirreflue, dobbeltbåndet i
Hanekro

Svirrefluen Rhingia Campesris
i en Lægeoksetunge

Danseflue - Empis tessellata

Døgnflue, stor (F)

Fåresandbier omkring en
paringsklar hunbi.

OSSE MIG - OSSE MIG !!!
Fluer lader sig nare af stinksvampens
duft af rådnende kød til at sprede
svampens sporer, der klæber sig til
fluernes ben.
Se stinksvampe her
Gedehams spiser rejer (Å)

Guldøje, alm 1

Guldøje, alm 2

Humlebi, ager på Fladbælg

Have hårmyg

Humlesvirreflue, hvidbåndet på
Brombær-blomst (F)

Humlebi med mider - dens bo
må også være fyldt med dem !

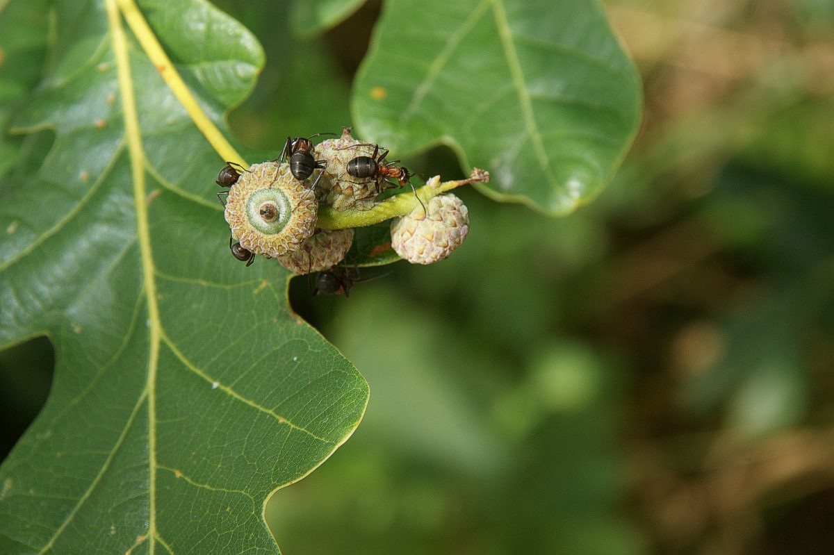
Skovmyre, rød på agern af Eg, vinter

Rovflue - Dioctria rufipes

Spyflue, blå (F)

Skorpionsflue (hun)

Stankelben (1) - vor største myggeart
de største er op til 5 cm.
Benene falder let af, hvis de sidder
fast i et spind - den kan klar sig
med helt ned til 3 ben.

Svirreflue, dobbeltbåndet på
Hanekro, alm (F)

Svirreflue, hvidbåndet ? ? ?